Cotton-melon aphid/ Aphis gossypii

Cotton-melon aphid/ Aphis gossypii
Aphis gossypii Glover 1887
Sooty mold
Sap sucking

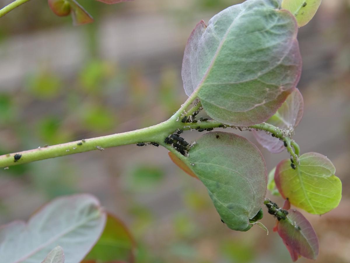
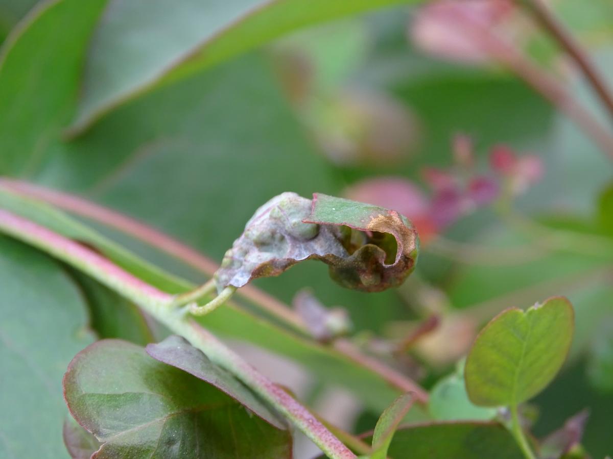
Aphis gossypii primarily infests young Eucalyptus trees, including seedlings and saplings in nurseries and newly established plantation compartments. Damage to the trees occurs both directly through aphid feeding and indirectly via sooty mold growth, which develops as a result of honeydew excreted by the aphids. Feeding activity can cause leaf discoloration and die-back. During severe infestations, premature leaf drop, leaf curling, malformation, and stunting may occur due to damage to primordial leaves. The ability of plants to recover from infestation depends on their overall vigor and stress levels. 

Aphis gossypii undergoes four distinct nymphal instars before reaching adulthood, with each instar distinguishable based on morphological characteristics. First instar nymphs hatch with four-segmented antennae, which develop into five-segmented antennae by the second instar. Differences between the second and third instars are subtle, primarily involving the wing pads, which appear as shoulder-like structures in the second instar and resemble true wing pads in the third instar; wing development is completed in the fourth instar. Both adults and nymphs exhibit coloration ranging from yellow to greenish-black, influenced mainly by temperature and host, with the darker green morph occurring in cooler spring temperatures displaying larger size and higher fecundity than the yellow morph.

Aphis gossypii possesses a broad host range, encompassing up to 900 plant species across more than 100 families, enabling its global distribution across tropical, subtropical, and temperate regions. Its life cycle varies with climate, exhibiting anholocyclic reproduction through asexual females in warmer regions, and holocyclic reproduction involving both sexual and asexual phases in cooler climates, either on one host (autoecious) or two hosts (heteroecious). Winged adults, including both males and females, disperse primarily during daylight hours, with flight being most active from sunrise to early afternoon, and no flight occurring after dark. Egg laying occurs in protected plant sites and appears to be more driven by safeguarding of offspring eggs than the plant part. 

All provinces
Various species of eucalypt and their hybrids, as well as a large number of economically important species including citrus, avocado, banana, cotton, etc.
Unknown

Gallery

Ebert, T. A. and Cartwright, B. (1997) Biology and ecology of Aphis gossypii Glover (Homoptera: aphididae). Southwest. Entomol, 22(1): 116-153.